0.33 Acres for Sale in Perry, GA
Sold




+7
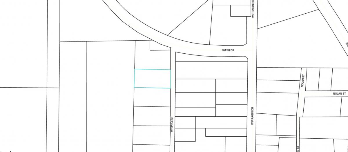
Parcel: 0P0140 080000
Size: 0.33 acres
Address: Perry, Houston County, Georgia, United States, 31069
Location: 32.464053, -83.74009099999999
Deed type: Warranty Deed
Road access: Paved
Utilities: Public Water / Public Sewer
Zoning: Residential
Taxes: 75
Legal: LOT 5 BLK A MILTON BECKHAM S/D
Priced to Sell FAST! Residential building lot in an established neighborhood. Ideal location for a small duplex to be built, a tiny house, or to relocate a small existing home. Conveniently located near shopping and quick easy access to Interstate 75. Bring an offer today!
Utility
- Electric utility on property: Yes
- Sewer information: Public Sewer
- Water information: Public
- Utilities for property: Cable Available, Electricity Available, High Speed Internet, Sewer Available, Underground Utilities, Water Available
