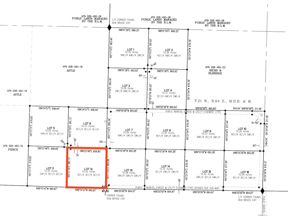
10.35 Acres for Sale in White Pine, Nevada




Parcel: 00861012
Size: 10.35 acres
Address: White Pine, White Pine, Nevada, United States, 89052
Location: 39.680414,, 114.773464
Deed type: Warranty Deed
Road access: Paved Road
Utilities: City utilities available
Zoning: Residential
Taxes: 301

THIS 10 ACRE RANCH HAS IT ALL! EASY ACCESS, GREAT VIEWS, LEGAL ADDRESS, LOW PROPERTY TAXES AND MORE! THIS LOT IS EASILY WORTH 45-50K. ANOTHER LOT THE SAME SIZE, 2 PARCELS OVER, IS SELLING ON ZILLOW RIGHT NOW FOR $60,000.
Everyone knows how difficult it is to find affordable property in NEVADA, especially ranch property! Here’s an opportunity to own 10.35 Acres in White Pine County Nevada and you don’t want to pass this up!
EASY FINANCING TERMS- TO RESERVE THIS PROPERTY – CLICK ON THE PAYMENT BUTTON AND RESERVE THE PROPERTY IN YOUR NAME! AFTER RECEIPT OF YOUR PAYMENT, YOU WILL RECEIVE A DOCUSIGN TO CONFIRM YOUR PURCHASE AND CONFIRM YOUR DEED INFORMATION.
• $22,995.00 Sale Price
• Financing Terms! NO CREDIT CHECK
• $595.00 Down
• 1% Interest
• No Prepayment Penalty
• $245.00 a month
Easy step to purchase this property! Contact CommonLots at www.commonlots.net or call 213.305.9621!
MORE ABOUT WHITE PINE COUNTY NEVADA
https://www.whitepinecounty.net

APN: 008-610-12 Legal Description: Lot 12 Paulownia Estates, as shown on that certain division into large parcels map #949 for Means Land & Cattle Company Recorder of White Pine County, State of Nevada, on June 30th, 2006, as file no. 333384, being a portion of Section 18 SE1/4SE1/4SE1/4 Township 21 North Range 64 East M.D.B.& M. Exact Acreage: 10.35 County: White Pine Elevation: 4,197ft Special Notes: TBD Annual Property Taxes: $310.01
GPS COORDINATES:
NW: 39.682156, -114.775792
NE: 39.682090, -114.773514
SE: 39.680414, -114.773464
SW: 39.680261, -114.775739
See all our properties listed .................. www.commonlots.net
